コメリ/富山県高岡市に「コメリPRO高岡店」来年6/7新設
2025年10月28日 11:25 / 店舗
- 関連キーワード
- コメリ
- 大規模小売店舗立地法
- 富山県
- 新店舗オープン
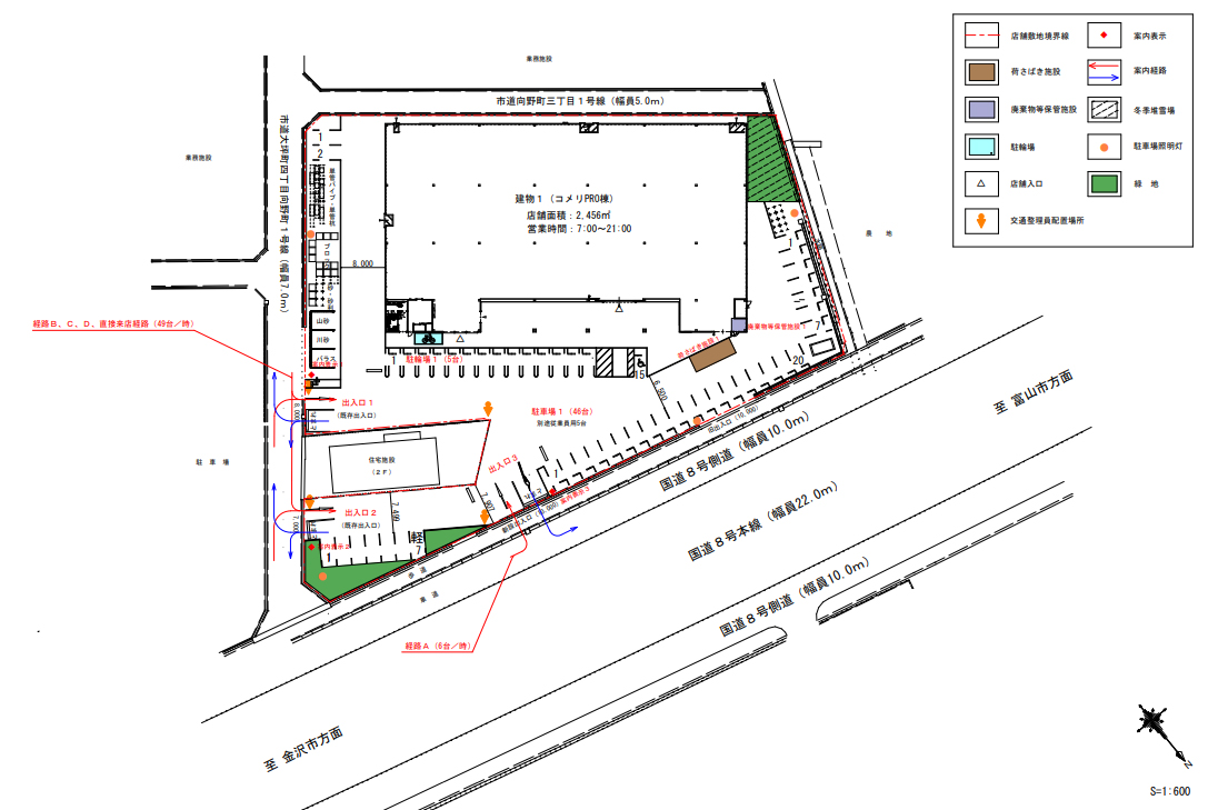
コメリは10月6日、大規模小売店舗立地法による新設の届出を行った。
2026年6月7日、富山県高岡市に「(仮称)コメリPRO高岡店」(店舗面積2,456m2)を新設する予定だ。
■店舗概要
名称:(仮称)コメリPRO高岡店
所在地:富山県高岡市向野町3-43-19外
店舗面積:2,456m2
駐車場:46台
駐輪場:5台
営業時間:7時~21時
※店舗新設日などの各項目については、大規模小売店舗法の申請時に表記されているもので、実際の店舗オープン日等とは異なる場合があります。
流通ニュースでは小売・流通業界に特化した
B2B専門のニュースを平日毎朝メール配信しています。
