しまむら/群馬県・熊本県に「ファッションモール」来年5~6月新設
2025年11月07日 15:44 / 店舗
しまむらはこのほど、大規模小売店舗立地法による新設の届出を行った。2026年5~6月にかけて群馬県・熊本県に新店舗を立ち上げる予定。
詳細は以下の通り。
2026年5月27日、群馬県太田市に「(仮称)小舞木ファッションモール」(店舗面積2,040m2)を新設する予定。届出年月日は2025年9月26日。
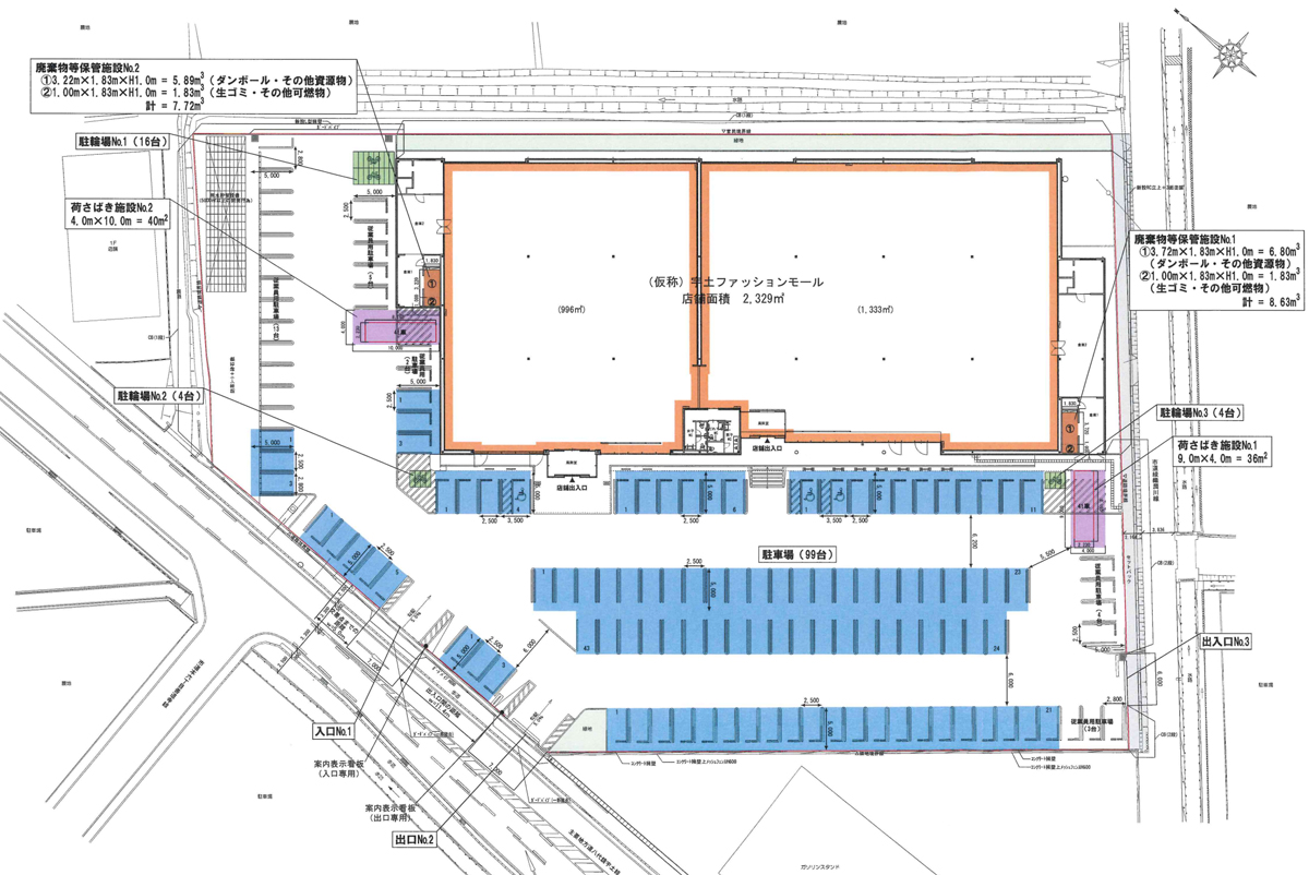
2026年6月23日、熊本県宇土市に「(仮称)宇土ファッションモール」(店舗面積2,329m2)を新設する予定。届出年月日は2025年10月22日。
■(仮称)小舞木ファッションモール
所在地:群馬県太田市小舞木205-1外
店舗面積:2,040m2
駐車場:73台
駐輪場:5台
営業時間:10時~20時
■(仮称)宇土ファッションモール
所在地:熊本県宇土市善道寺町字五丁間291外
店舗面積:2,329m2
駐車場:99台
駐輪場:24台
営業時間:10時~20時
※店舗新設日などの各項目については、大規模小売店舗法の申請時に表記されているもので、実際の店舗オープン日等とは異なる場合があります。
流通ニュースでは小売・流通業界に特化した
B2B専門のニュースを平日毎朝メール配信しています。
