トライアル/岡山県勝田郡勝央町に「スーパーセンタートライアル勝央店(店舗面積4290m2)」9/10新設

2026年02月19日 10:30 / 店舗

トライアルカンパニーは1月9日、大規模小売店舗立地法による新設の届出を行った。

9月10日、岡山県勝田郡に「スーパーセンタートライアル勝央店」(店舗面積4290m2)を新設する予定だ。

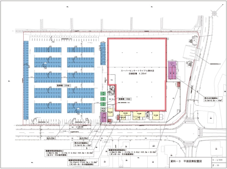
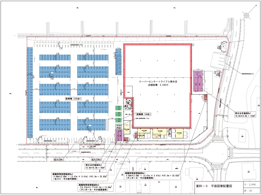
<配置図>

なお、敷地面積は1万6119m2。

■店舗概要
名称:スーパーセンタートライアル勝央店
所在地:岡山県勝田郡勝央町岡字鳥居前489-1外
店舗面積:4290m2
駐車場:235台
駐輪場:48台
営業時間:24時間

※店舗新設日などの各項目については、大規模小売店舗法の申請時に表記されているもので、実際の店舗オープン日等とは異なる場合があります。

クスリのアオキ/愛知県、福井県、埼玉県、山形県、香川県に計6店舗を7~8月新設

流通ニュースでは小売・流通業界に特化した
B2B専門のニュースを平日毎朝メール配信しています。

メルマガ無料登録はこちら

店舗 最新記事

一覧

新店舗オープンに関する最新ニュース

一覧

大規模小売店舗立地法に関する最新ニュース

一覧

岡山県に関する最新ニュース

一覧

最新ニュース

一覧