トライアル/徳島県阿波市「スーパーセンタートライアル阿波土成店」来年5/30新設
2025年12月16日 10:54 / 店舗
トライアルカンパニーは9月29日、大規模小売店舗立地法による新設の届出を徳島県に行った。
2026年5月30日、徳島県阿波市に「スーパーセンタートライアル阿波土成店」(店舗面積3,345m2)を新設する予定。
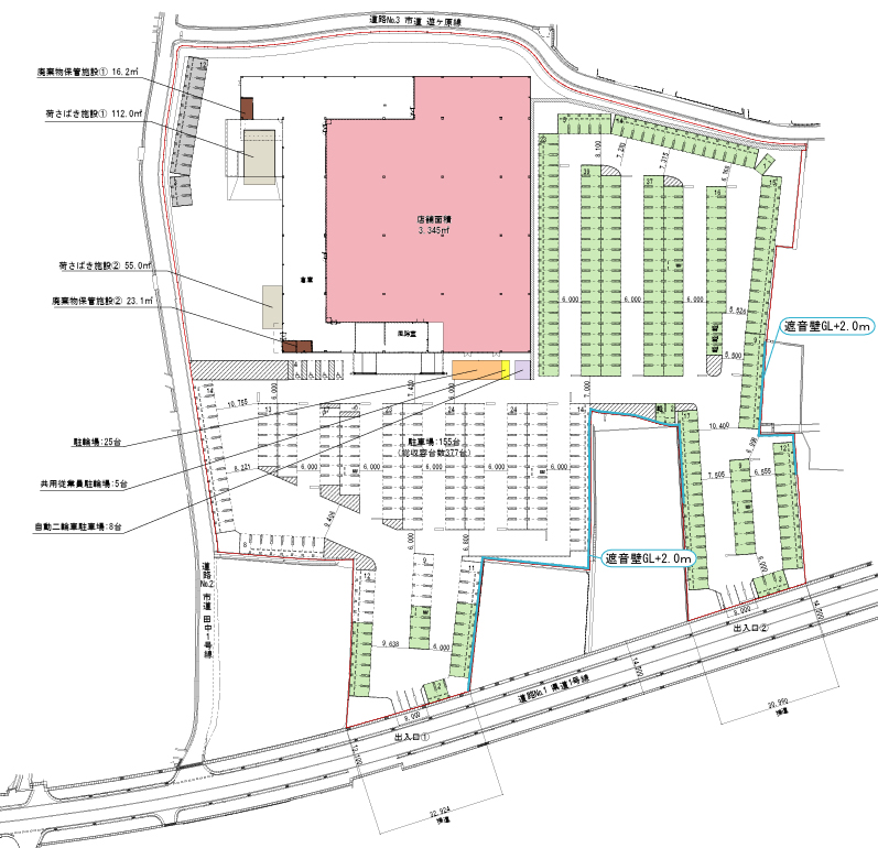
<スーパーセンタートライアル阿波土成店の建物配置図、1階平面図>

■店舗概要
名称:スーパーセンタートライアル阿波土成店
所在地:徳島県阿波市土成町字遊ケ原24-1ほか
店舗面積:3,345m2
駐車場:155台
駐輪場:25台
営業時間:24時間
※店舗新設日などの各項目については、大規模小売店舗法の申請時に表記されているもので、実際の店舗オープン日等とは異なる場合があります。
流通ニュースでは小売・流通業界に特化した
B2B専門のニュースを平日毎朝メール配信しています。
