薬王堂/栃木県、群馬県、茨城県に計4店舗を8月新設
2026年01月20日 14:30 / 店舗
薬王堂はこのほど、大規模小売店舗立地法による新設の届出を行った。8月に、栃木県、群馬県、茨城県に4店舗を立ち上げる予定だ。
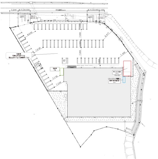
8月2日、栃木県芳賀郡茂に「薬王堂栃木茂木店」(店舗面積1191m2)を新設する予定。届出年月日は2025年12月1日。
■店舗概要
名称:薬王堂栃木茂木店
所在地:栃木県芳賀郡茂木町三坂土地区画整理事業3街区1
店舗面積:1191.33m2
駐車場:38台
駐輪場:8台
営業時間:8時~22時
8月18日、群馬県邑楽郡に「薬王堂板倉ニュータウン店」(店舗面積1239m2)を新設する予定。届出年月日は2025年12月17日。
■店舗概要
名称:薬王堂板倉ニュータウン店
所在地:群馬県邑楽郡板倉町朝日野3-2-1外
店舗面積:1239m2
駐車場:28台
駐輪場:8台
営業時間:8時~22時
8月19日、栃木県塩谷郡に「薬王堂栃木塩谷店」(店舗面積1190m2)を新設する予定。届出年月日は2025年12月18日。
■店舗概要
名称:薬王堂栃木塩谷店
所在地:栃木県塩谷郡塩谷町大字玉生字鴨屋敷550-12外
店舗面積:1190.45m2
駐車場:38台
駐輪場:8台
営業時間:8時~22時
8月23日、茨城県北茨城市に「薬王堂北茨城磯原店」(店舗面積1190m2)を新設する予定。届出年月日は2025年12月22日。
■店舗概要
名称:薬王堂北茨城磯原店
所在地:茨城県北茨城市磯原町木皿字川田1139外
店舗面積:1190m2
駐車場:44台
駐輪場:8台
営業時間:7時~24時
※店舗新設日などの各項目については、大規模小売店舗法の申請時に表記されているもので、実際の店舗オープン日等とは異なる場合があります。
流通ニュースでは小売・流通業界に特化した
B2B専門のニュースを平日毎朝メール配信しています。





