コスモス薬品/広島県・群馬県・茨城県に「ドラッグコスモス」計3店舗、9~10月新設
2026年03月02日 10:38 / 店舗
コスモス薬品はこのほど、大規模小売店舗立地法による新設の届出を行った。
9月から10月にかけて、広島県・群馬県・茨城県に「ドラッグコスモス」計3店舗を立ち上げる予定だ。
詳細は以下の通り。
2026年9月21日、広島県廿日市市に「(仮称)ドラッグコスモス陽光台店」(店舗面積1359.5m2)を新設する予定だ。届出日は1月20日。
■店舗概要
名称:(仮称)ドラッグコスモス陽光台店
所在地:広島県廿日市市陽光台5-11-1、11-2、5-9
店舗面積:1359.5m2
駐車場:45台
駐輪場:10台
営業時間:9時~22時
2026年9月27日、群馬県太田市に「ドラッグコスモス藪塚店」(店舗面積1433m2)を新設する予定だ。届出日は1月26日。
■店舗概要
名称:ドラッグコスモス藪塚店
所在地:群馬県太田市藪塚町1177-1外
店舗面積:1433m2
駐車場:48台
駐輪場:27台
営業時間:9時~22時
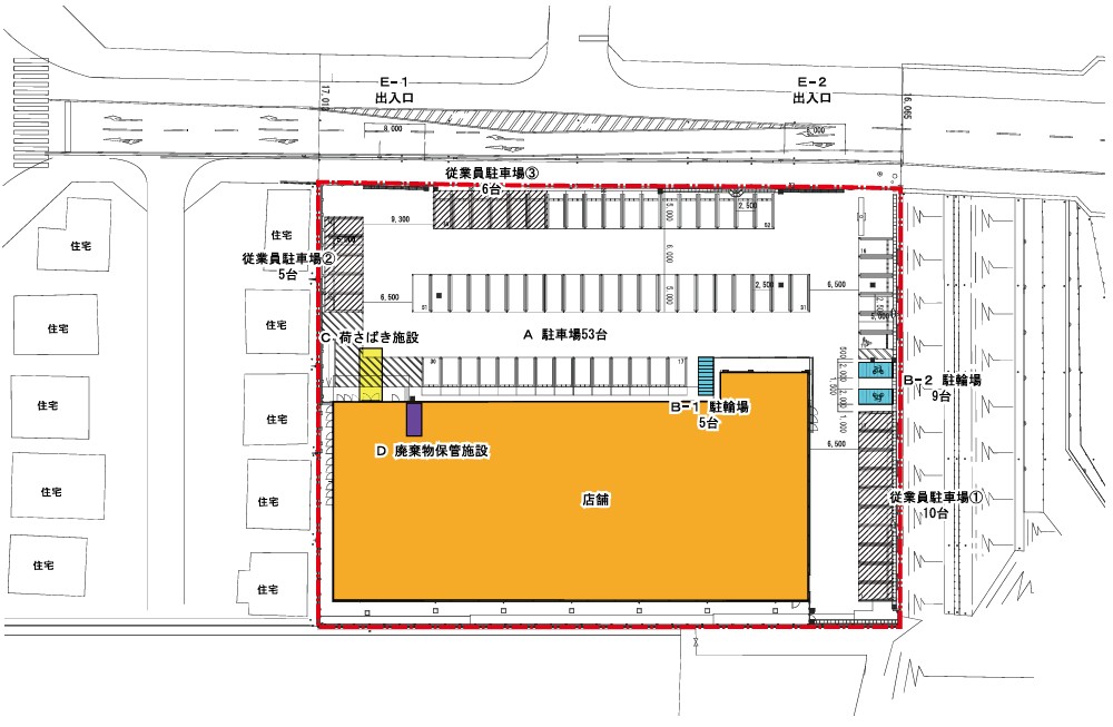
2026年10月1日、茨城県水戸市に「ドラッグコスモス東海村店」(店舗面積1379m2)を新設する予定だ。届出日は1月30日。
■店舗概要
名称:ドラッグコスモス東海村店
所在地:茨城県水戸市水戸・勝田計画事業 東海中央土地区画整理事業地50街区符号1
店舗面積:1379m2
駐車場:53台
駐輪場:14台
営業時間:9時~22時
※店舗新設日などの各項目については、大規模小売店舗法の申請時に表記されているもので、実際の店舗オープン日等とは異なる場合があります。
流通ニュースでは小売・流通業界に特化した
B2B専門のニュースを平日毎朝メール配信しています。

