ダイソー、ワークマンカラーズ/富山市に「富山大広田店」来年5/28新設
2025年11月18日 13:32 / 店舗
アルビス、ワークマンは10月17日、大規模小売店舗立地法による新設の届出を行った。大創産業とワークマンが小売事業を展開する。
2026年5月28日、富山県富山市に「(仮称)ダイソー富山大広田店、ワークマンカラーズ富山大広田店」(店舗面積1,303m2)を新設する予定だ。
■店舗概要
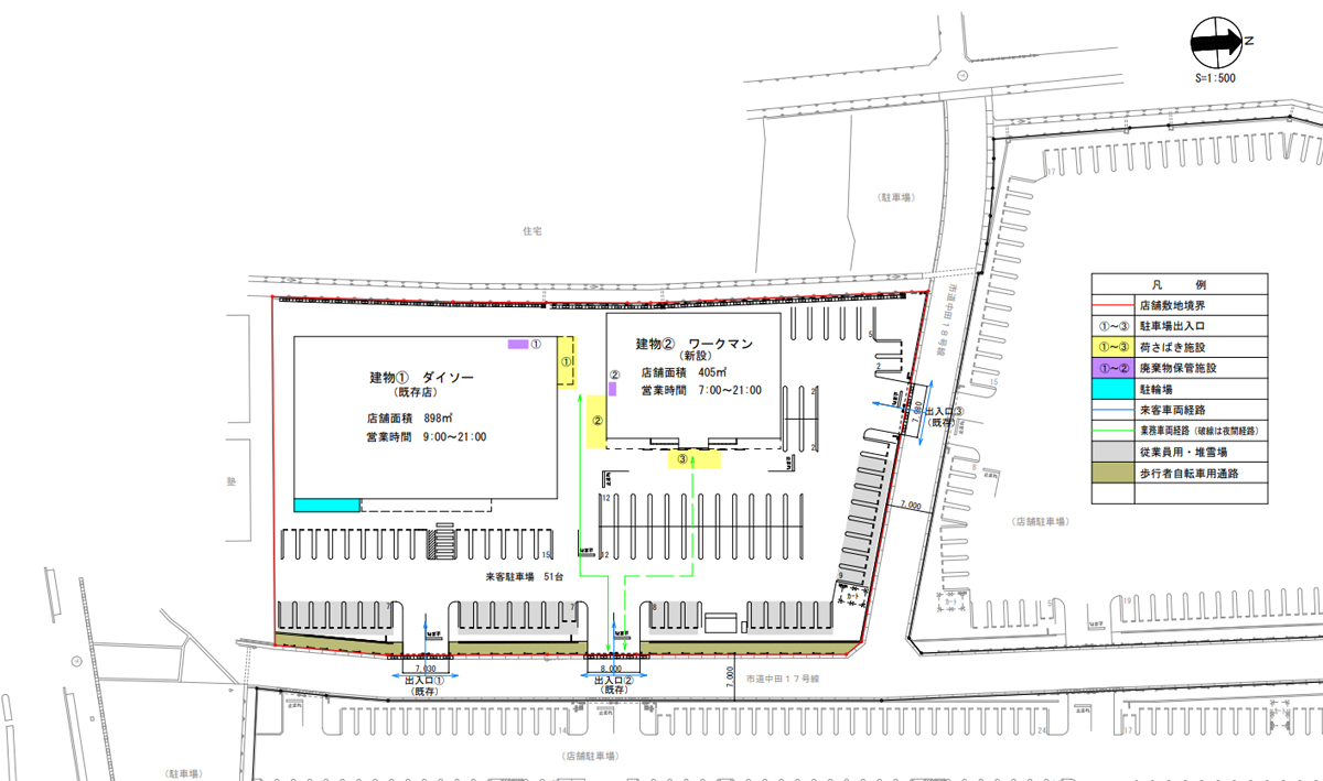
名称:(仮称)ダイソー富山大広田店、ワークマンカラーズ富山大広田店
所在地:富山県富山市中田1-228-1ほか
店舗面積:1,303m2
駐車場:51台
駐輪場:15台
営業時間:9時~21時 ほか
※店舗新設日などの各項目については、大規模小売店舗法の申請時に表記されているもので、実際の店舗オープン日等とは異なる場合があります。
流通ニュースでは小売・流通業界に特化した
B2B専門のニュースを平日毎朝メール配信しています。
