コスモス薬品 /栃木県野木町に「ドラッグコスモス野木店」11/13新設
2025年04月22日 10:05 / 店舗
- 関連キーワード
- コスモス薬品
- 大規模小売店舗立地法
- 新店舗オープン
- 栃木県
コスモス薬品は3月12日、大規模小売店舗立地法による新設の届出を行った。
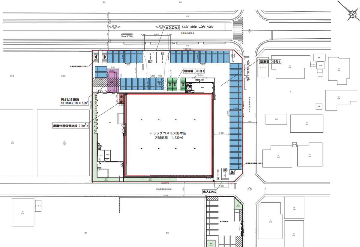
2025年11月13日、栃木県野木町に「ドラッグコスモス野木店」(店舗面積1,330m2)を新設する予定だ。
■店舗概要
名称:ドラッグコスモス野木店
所在地:栃木県下都賀郡野木町大字丸林字都650-3
店舗面積:1,330m2
駐車場:43台
駐輪場:33台
営業時間:9時~22時
※店舗新設日などの各項目については、大規模小売店舗法の申請時に表記されているもので、実際の店舗オープン日等とは異なる場合があります。
流通ニュースでは小売・流通業界に特化した
B2B専門のニュースを平日毎朝メール配信しています。
