コスモス薬品/福岡県・宮崎県・鹿児島県に「ドラッグコスモス」計4店舗、7~8月新設
2026年01月27日 10:30 / 店舗
コスモス薬品はこのほど、大規模小売店舗立地法による新設の届出を行った。
7~8月にかけて、福岡県、宮崎県、鹿児島県に「ドラッグコスモス」4店舗を立ち上げる予定だ。
詳細は以下の通り。
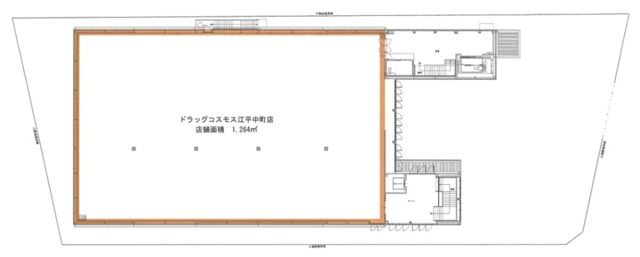
7月13日、宮崎県宮崎市江平中町に「ドラッグコスモス江平中町店」(店舗面積1297m2)を新設する予定。届出年月日は2025年11月12日。
<ドラッグコスモス江平中町店の平面図(1階)>

<ドラッグコスモス江平中町店の平面図(2階)>

■店舗概要
名称:ドラッグコスモス江平中町店
所在地:宮崎県宮崎市江平中町4-16
店舗面積:1297m2
駐車場:42台
駐輪場:10台
営業時間:9時~22時
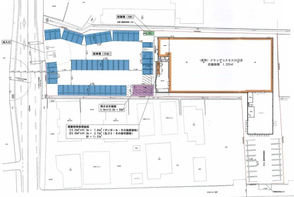
7月18日、鹿児島県南九州市に「(仮称)ドラッグコスモス川辺店」(店舗面積1325m2)を新設する予定。届出年月日は2025年11月17日。
■店舗概要
名称:(仮称)ドラッグコスモス川辺店
所在地:鹿児島県南九州市川辺町田部田字小松ヶ尾4205外
店舗面積:1325m2
駐車場:50台
駐輪場:8台
営業時間:9時~22時
7月20日、福岡市堀ノ宮に「ドラッグコスモス堀ノ宮店」(店舗面積1354m2)を新設する予定。届出年月日は2025年11月19日。
■店舗概要
名称:ドラッグコスモス堀ノ宮店
所在地:福岡県福岡市堀ノ宮1-206外
店舗面積:1354m2
駐車場:45台
駐輪場:10台
営業時間:9時~21時45分
8月24日、福岡県大牟田市に「(仮称)ドラッグコスモス天領店」(店舗面積1349m2)を新設する予定。届出年月日は2025年12月23日。
■店舗概要
名称:(仮称)ドラッグコスモス天領店
所在地:福岡県大牟田市天領町3-2-4の一部、2-5、2-6、6-5、6-6、6-23、6-24、6-25、6-26の一部
店舗面積:1349m2
駐車場:45台
駐輪場:10台
営業時間:9時~22時
※店舗新設日などの各項目については、大規模小売店舗法の申請時に表記されているもので、実際の店舗オープン日等とは異なる場合があります。
流通ニュースでは小売・流通業界に特化した
B2B専門のニュースを平日毎朝メール配信しています。



