イオン九州/大分県中津市に「イオンBIG中津店」8/23新設
2026年01月19日 10:30 / 店舗
- 関連キーワード
- イオン九州
- 大分県
- 大規模小売店舗立地法
- 新店舗オープン
イオン九州は2025年12月22日、大規模小売店舗立地法による新設の届出を行った。
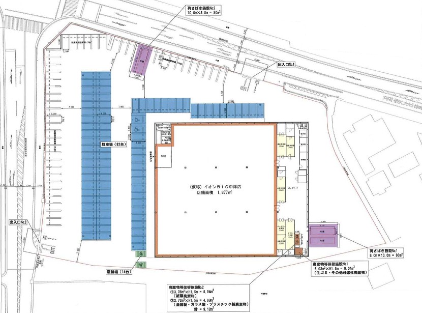
2026年8月23日、大分県中津市に「(仮称)イオンBIG中津店」(店舗面積1877m2)を新設する予定だ。

なお、鉄鋼造り平屋建てで、店舗面積は1877m2だが、その他の施設が533m2、延床面積は2410m2となっている。
■店舗概要
名称:(仮称)イオンBIG中津店
所在地:大分県中津市大字上如水1324-1外
店舗面積:1877m2
駐車場:82台
駐輪場:14台
営業時間:24時間
※店舗新設日などの各項目については、大規模小売店舗法の申請時に表記されているもので、実際の店舗オープン日等とは異なる場合があります。
流通ニュースでは小売・流通業界に特化した
B2B専門のニュースを平日毎朝メール配信しています。


