イオン北海道ほか/千歳市に「千歳武道館前ショッピングセンター(店舗面積4492m2)」8/24新設
2026年01月21日 10:30 / 店舗
イオン北海道と茎津綜業は2025年12月23日、大規模小売店舗立地法による新設の届出を行った。イオン北海道、大創産業、エコノスが小売事業を展開する。
2026年8月24日、千歳市に「千歳武道館前ショッピングセンター」(店舗面積4492m2)を新設する予定だ。
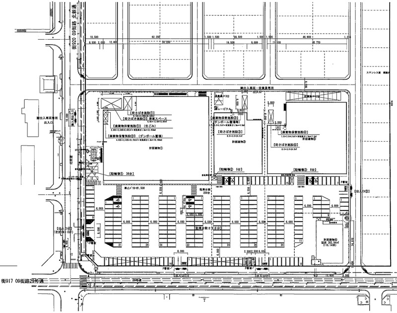
建物は3棟(計画建物1~3)で、各店舗面積は、イオン北海道が2099.767m2、大創産業が906.3m2、エコノス1485.809m2の計画。
別途、飲食店舗(計画建物4)383.940m2も予定している。
■店舗概要
名称:千歳武道館前ショッピングセンター
所在地:北海道千歳市北信濃590-1ほか
店舗面積:4492m2
駐車場:228台
駐輪場:49台
営業時間:7時~21時45分
※店舗新設日などの各項目については、大規模小売店舗法の申請時に表記されているもので、実際の店舗オープン日等とは異なる場合があります。
流通ニュースでは小売・流通業界に特化した
B2B専門のニュースを平日毎朝メール配信しています。

