コスモス薬品/埼玉県・茨城県・群馬県に「ドラッグコスモス」計5店舗、7~8月新設
2026年01月29日 10:30 / 店舗
コスモス薬品はこのほど、大規模小売店舗立地法による新設の届出を行った。
7~8月にかけて、埼玉県、茨城県、群馬県に「ドラッグコスモス」5店舗を立ち上げる予定だ。
詳細は以下の通り。
7月28日、埼玉県行田市に「ドラッグコスモス行田長野店」(店舗面積1191m2)を新設する予定。届出年月日は2025年11月27日。
■店舗概要
名称:ドラッグコスモス行田長野店
所在地:埼玉県行田市長野4-11-11ほか
店舗面積:1191m2
駐車場:45台
駐輪場:34台
営業時間:9時~21時50分
8月16日、茨城県常陸大宮市に「ドラッグコスモス大宮東富店」(店舗面積1435m2)を新設する予定。届出年月日は2025年12月15日。
■店舗概要
名称:ドラッグコスモス大宮東富店
所在地:茨城県常陸大宮市東富町505-4外
店舗面積:1435m2
駐車場:55台
駐輪場:15台
営業時間:9時~22時
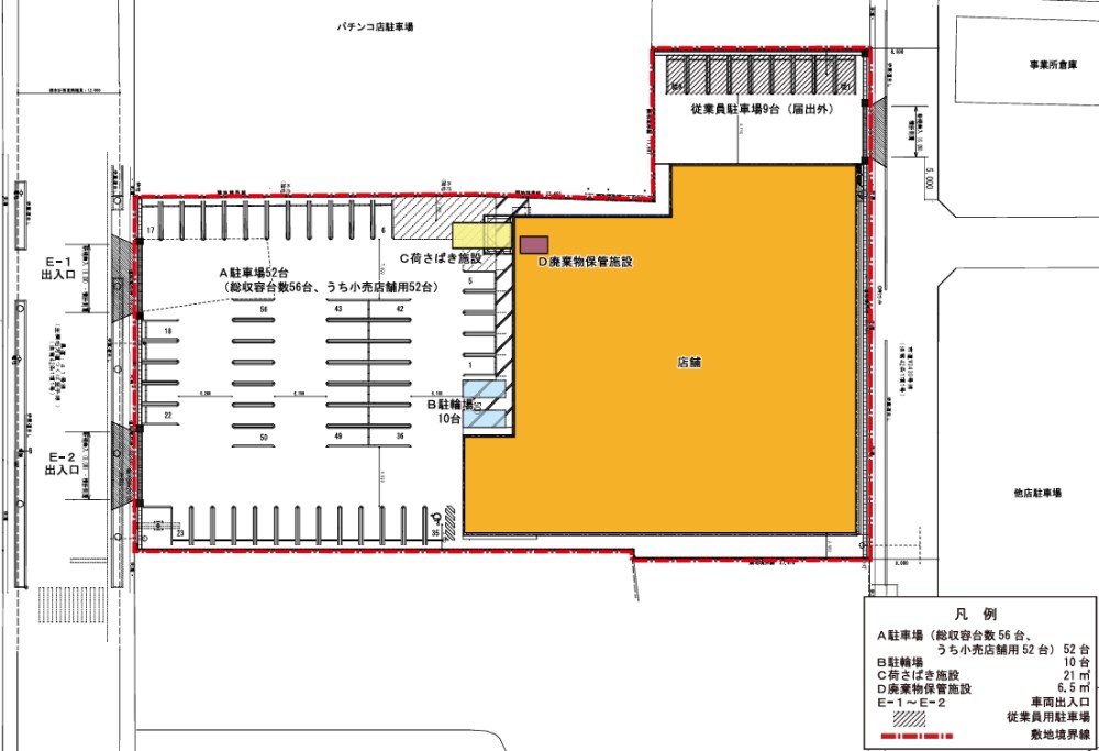
8月17日、茨城県桜川市に「ドラッグコスモス桜川岩瀬店」(店舗面積1373m2)を新設する予定。届出年月日は2025年12月16日。
■店舗概要
名称:ドラッグコスモス桜川岩瀬店
所在地:茨城県桜川市明日香1-14外
店舗面積:1373m2
駐車場:52台
駐輪場:10台
営業時間:9時~22時
8月27日、群馬県太田市に「ドラッグコスモス鳥山店」(店舗面積1392m2)を新設する予定。届出年月日は2025年12月26日。
■店舗概要
名称:ドラッグコスモス鳥山店
所在地:群馬県太田市鳥山下町652-2外
店舗面積:1392m2
駐車場:47台
駐輪場:20台
営業時間:9時~22時
8月27日、群馬県邑楽郡に「ドラッグコスモス千代田赤岩店」(店舗面積1197m2)を新設する予定。届出年月日は2025年12月26日。
■店舗概要
名称:ドラッグコスモス千代田赤岩店
所在地:群馬県邑楽郡千代田町大字赤岩字上桧内1802-4外
店舗面積:1197m2
駐車場:45台
駐輪場:22台
営業時間:9時~22時
※店舗新設日などの各項目については、大規模小売店舗法の申請時に表記されているもので、実際の店舗オープン日等とは異なる場合があります。
流通ニュースでは小売・流通業界に特化した
B2B専門のニュースを平日毎朝メール配信しています。


