コーナン商事/鹿児島市東開町に「コーナンPRO鹿児島東開町店(店舗面積2109m2)」9/21新設

2026年02月27日 10:30 / 店舗

オリックス不動産は1月20日、大規模小売店舗立地法による新設の届出を行った。コーナン商事が小売事業を展開する。

9月21日、鹿児島県鹿児島市に「(仮称)コーナンPRO鹿児島東開町店」(店舗面積2109m2)を新設する予定だ。

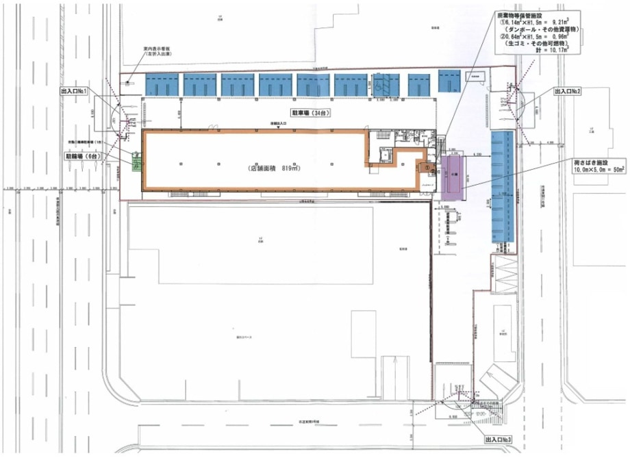
<1階平面図>

<2階平面図>

なお、敷地面積は3199m2、建物は2階建て。

■店舗概要
名称:(仮称)コーナンPRO鹿児島東開町店
所在地:鹿児島県鹿児島市東開町3-19
店舗面積:2109m2
駐車場:34台
駐輪場:6台
営業時間:6時30分~22時00分

※店舗新設日などの各項目については、大規模小売店舗法の申請時に表記されているもので、実際の店舗オープン日等とは異なる場合があります。

コーナン商事/金沢市に「コーナンPRO金沢駅西店」来年2/21新設

流通ニュースでは小売・流通業界に特化した
B2B専門のニュースを平日毎朝メール配信しています。

メルマガ無料登録はこちら

店舗 最新記事

一覧

新店舗オープンに関する最新ニュース

一覧

ホームセンターに関する最新ニュース

一覧

大規模小売店舗立地法に関する最新ニュース

一覧

最新ニュース

一覧